
Terremoto de magnitud 6.1 sacude Balikesir, Turquía.
Un fuerte terremoto de magnitud 6.1 estremeció este lunes la provincia occidental de Balikesir, con epicentro en el municipio de Sindirgi, según informó la Autoridad

Un fuerte terremoto de magnitud 6.1 estremeció este lunes la provincia occidental de Balikesir, con epicentro en el municipio de Sindirgi, según informó la Autoridad

El Departamento de Seguridad Nacional (DHS) de Estados Unidos confirmó hoy que el país ha alcanzado un hito sin precedentes en materia de inmigración: más

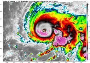
En la madrugada del 28 de octubre, el huracán Melissa ha escalado rápidamente categoría 5 en la escala Saffir-Simpson, convirtiéndose en el tercer sistema de

Portugal ha sido elegido «mejor destino de Europa» en los World Travel Awards de este año. El país recupera así el honor que había perdido frente a Grecia el

El presidente de Estados Unidos, Donald Trump, fue recibido este lunes con honores por el emperador japonés Naruhito en el Palacio Imperial de Tokio, marcando

El partido La Libertad Avanza (LLA), liderado por el presidente argentino Javier Milei, se alzó como la principal fuerza política del país al obtener el

En un mensaje a la nación emitido este domingo, el presidente de Guatemala, Bernardo Arévalo de León, abordó la crisis política y judicial que atraviesa

El ejército estadounidense llevó a cabo un ataque contra una embarcación presuntamente del narcotráfico la noche del martes en aguas del Océano Pacífico frente a

El ministro de Defensa de Venezuela, Vladimir Padrino López, aseguró este martes que Colombia cuenta con el apoyo de la Fuerza Armada Nacional Bolivariana (FANB)

Las fuerzas rusas atacaron Járkov el miércoles un jardín de infancia con niños en su interior, según las autoridades ucranianas. El alcalde de Járkov, Ihor Terekhov, y